土地 仙台市宮城野区栄1丁目
所在地
仙台市宮城野区栄1丁目
2,400万円
53.76坪
JR仙石線〈中野栄〉駅徒歩10分
お好きなハウスメーカー・工務店等で建築可能です
・ファミリーマート栄一丁目店まで徒歩4分(280m)
・ヤマザワ中野栄典まで徒歩12分(900m)
物件概要
- 交通
-
仙石線 中野栄駅 まで 徒歩10分
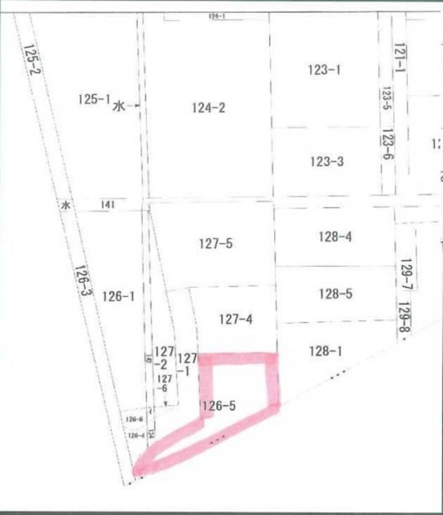
- 接道状況
- 西側位置指定道路4m
- 土地面積
- 177.75㎡ (53.76坪)
- 建ぺい率
- 60%
- 容積率
- 200%
- 土地権利
- 所有権
- セットバック
- 無し
- 小学校区
- 中野栄 ( 1000m )
- 中学校区
- 中野 ( 600m )
- 私道負担
- 建築条件
- なし
- 地目
- 宅地
- 現況
- 更地
- 引渡時期
- 相談
- 上水道
- 公共
- 下水道
- 公共
- ガス
- 都市計画
- 市街化区域
- 用途地域
- 設備・条件
- 備考
-
◆別途水道加入金あり
◆現在駐車場にて賃貸中
◆現況引き渡しとなります - 取引態様
- 仲介

